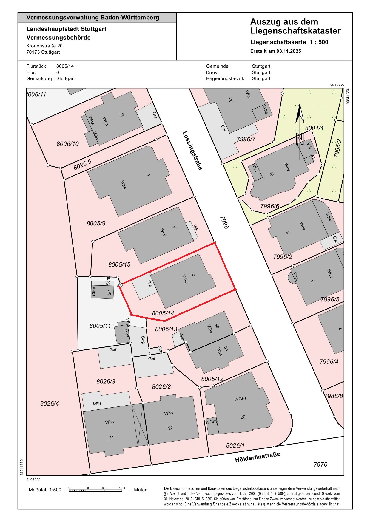
Dieses zum Verkauf kommende Wohngebäude wurde 1955 in massiver Bauweise auf einem 419 m² großen Baugrundstück in leichter Hanglage von Stuttgart Nord errichtet.
Aktuell besteht das Gebäude aus zwei Büroräumen im EG, jeweils einer großen Wohnung im 1.OG und 2.OG sowie einem teilausgebauten Dachraum unter dem Dach. Die Wohn/Nutzflächen betragen in Summe ca. 324,20 m².
Die Wohnungen im 1.OG und 2.OG sind seit Jahren vermietet und werden im vermieteten Zustand verkauft. Sollten Sie an einen Eigennutz denken, müssten Sie die Mietverträge wegen Eigenbedarf nach Eigentumsumschreibung kündigen. Die aktuell ebenfalls noch vermieteten Räume im EG sowie das teilausgebaute DG sind zum 30.06.2026 gekündigt und werden dann frei.
Das Gebäude befindet sich in einem einfachen bzw. baujahrtypisch, eher unterdurchschnittlichen Gesamtzustand, sodass nun größere Sanierungs-/Renovierungsmaßnahmen in allen Gewerken anstehen. Mit Blick auf die anstehende Dachsanierung/Dachdämmung kann evtl. auch über eine Aufstockung des Gebäudes nachgedacht werden. Dies wäre dann unter Berücksichtigung des aktuellen B-Planes mit dem zuständigen Baurechtsamt auf Genehmigungsfähigkeit zu prüfen bzw. mittels einer Bauvoranfrage vorher abzuklären.
BEBAUBARKEIT:
B-Plan: Von 1800 / 1905 in Verbindung mit
Baustaffelplan v. 1935, Baustaffel 8
Art d. baul. Nutzung: Landhausgebiet
Maß d. baul. Nutzung: offene, 2-gesch. Bebauung
Einzelheiten klären Sie dann bitte mit Ihrem Architekten bzw. mit dem zuständigen Baurechtsamt vor Ort.
FLÄCHEN / AKTUELLE KALTMIETEN:
EG: 1 Zi. Büro li./re., ca. 78,1 m², KM: € 510,--
1.OG.: 4 Zi. Whg., ca. 115,30 m², KM: € 875,--
2. OG: 3 Zi. Whg., ca. 109,90 m², KM: € 820,--
DG: 2 Zi. Büro, ca. 20,90 m², KM: € 200,--
Garagenstellplätze: KM: € 80,--
KALTMIETE P.M.: € 2.485,--
Bei Interesse vereinbaren wir gerne an einem Donnerstag Nachmittag einen Besichtigungstermin vor Ort.
Massivbauweise (Magerbeton, Hochlochziegel) auf alten Fundament wieder aufgebaut - teilunterkellert / Holzbalkendecken / Ungedämmtes Walmdach / Fernwärmeheizung / Größtenteils alte Holzfenster / Solnhofener Platten im Treppenhaus / Teilweise alte Eicheparkettböden in den Wohnungen / Meist ältere Bäder / Kaum Instandhaltungen in den letzten Jahren / Kleine Doppelgarage / Außenstellplatz
Die Lage des Gebäude befindet sich im Stuttgarter Stadtteil "Relenberg" zwischen Stuttgart Mitte und Stuttgart Nord gelegen. Der Stadtteil ist bekannt für seine grünen Höhenlagen, die Aussichtspunkte und die Mischung aus hochwertigen Wohngebieten und Erholungsflächen, was die Lessingstraße zu einem attraktiven Wohnort im Norden von Stuttgart macht.
Bei der Wohnlage handelt es sich um eine ruhige, gute Wohnlage.
Das Gebäude liegt ungefähr mittig innerhalb des topgrafischen Straßenanstiegs. Die Nachbarschaft besteht aus 2,5-4,5 geschossigen Wohngebäuden. In unmittelbarer Umgebung befindet sich ein Schulgebäude, eine Kirche sowie im Herdweg bereits Geschäfte des täglichen Bedarfs.
Zum Stadtzentrum sind es ca. 1,5 km. Die Anbindung an das ÖPNV ist sehr gut und die Haltestelle nur ca. 300 m entfernt. Sie profitiert von der Nähe zu wichtigen Infrastrukturen wie Parks, aber auch von den nahegelegenen Gewerbeflächen und dem zentralen Bahnhof.
Die dargestellte Position der Immobilie ist nur eine ungefähre Angabe.
ALLGEMEINES:
Die Angaben in diesem Exposé beruhen auf uns erteilten Informationen. Wir bemühen uns, möglichst vollständige und richtige Angaben zu erhalten und weiterzuleiten. Eine Haftung für die Richtigkeit bzw. Vollständigkeit können wir jedoch nicht übernehmen.
Wir empfehlen jede Immobilie mit einem Immobilienexperten (z.B. Bauingenieur oder Architekten) final zu besichtigen um Kosten im Vorfeld abschätzen bzw. richtig einschätzen zu können.
NACHWEIS- UND VERMITTLUNGSHONORAR:
Bei Erwerb dieses Objektes stellen wir Ihnen das übliche Nachweis- und Vermittlungshonorar in Höhe von 4,76 %, d.h. 4,00 % zuzüglich der derzeit gültigen Mehrwertsteuer, aus dem Kaufpreis in Rechnung, fällig bei Vertragsabschluss.
IHR ANSPRECHPARTNER:
Thomas Sinn
Dipl. Sachverständiger (DIA) für bebaute und unbebaute Grundstücke, für Mieten und Pachten
Bankfachwirt
Immobilien-Verkaufsleiter / Senior Partner
Lohtorstraße 13
74072 Heilbronn
Tel.: 07131 26699-10
Fax.: 07131 26699-22
E-Mail: thomas.sinn@wuestenrot-sinn.de
Homepage: www.thomas-sinn-immobilien.de
FACEBOOK:
Sehen Sie Immobilienangebote als erstes und exklusiv vor dem Vertriebsstart. Liken Sie uns auf Facebook und werden Sie VIP-Kunde.

Sie sehen gerade einen Platzhalterinhalt von Facebook. Um auf den eigentlichen Inhalt zuzugreifen, klicken Sie auf die Schaltfläche unten. Bitte beachten Sie, dass dabei Daten an Drittanbieter weitergegeben werden.
Mehr InformationenSie sehen gerade einen Platzhalterinhalt von Instagram. Um auf den eigentlichen Inhalt zuzugreifen, klicken Sie auf die Schaltfläche unten. Bitte beachten Sie, dass dabei Daten an Drittanbieter weitergegeben werden.
Mehr InformationenSie sehen gerade einen Platzhalterinhalt von X. Um auf den eigentlichen Inhalt zuzugreifen, klicken Sie auf die Schaltfläche unten. Bitte beachten Sie, dass dabei Daten an Drittanbieter weitergegeben werden.
Mehr Informationen